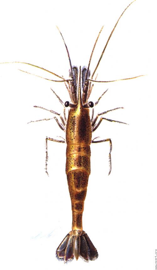
What we've been up to lately Illustration - Endangered California Freshwater ShrimpIllustration by Randy Schmieder May 1994 From Life on the Edge: A Guide To California's Endangered Natural Resources: Wildlife I was the primary staff illustrator for the book, and helped design many of the spreads. "The incredible nature photography and illustrations are reason enough to buy this book! Life on the Edge... is a book like no other. It is both specific and thorough in its description of the plants, wildlife, habitats of California that are most endangered and does so in a in a visually stunning format. It provides life history information for each species, maps that represent species/habitat occurrence, strategies for conservation and recovery, as well as supplying references on each topic for further research. The book elegantly simplifies the complex issues surrounding natural resource management in California. It also provides a well-written ecological, legal, and historical background to why our state's precious natural resources have become so imperiled. Life On The Edge is both a detailed reference guide and an impressive addition to the coffee table. The book is intended for experts and lay people alike. But really, anybody who has a love and appreciation of California should own "Life on the Edge." "More than 500 color pages packed with memorable images from famous photographers accompanies a fine review of California's endangered wildlife, with interviews with wildlife experts and essays on the subject supplementing a fine historical and scientific review. An excellent, basic reference, this surpasses almost all other efforts in the subject area, providing the latest research." http://www.amazon.com/Life-Edge-Californias-Endangered-Resources/dp/0930588665 Posted: 2013-1-24 Updated: 2013-1-25 | ||||



